Gewerbe in spektakulärer Formensprache: Autohaus, Halle, Ausstellung etc. mit Werkstatt, Technik, Lager und Freifläche (vermietet)
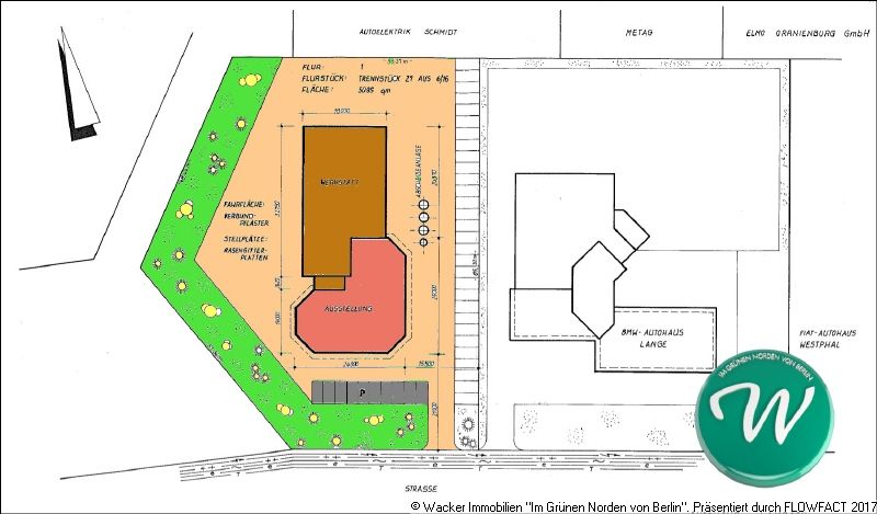
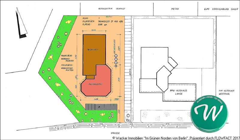
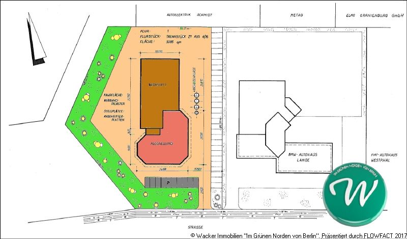
Das ehemalige Autohaus liegt im Gewerbepark Nord von Oranienburg und hat eine Grundstücksfläche von ca. 5.902 m². Die Immobilie eignet sich mit ihren ca. 1.045 m² gesamter Nutzfläche zur Weiterführung eines Autohauses inkl. Werkstattbetrieb bzw. als Fachmarkt, Ausstellungsfläche mit Servicebereichen und Ähnliches.
Der Energieausweis vom 11.09.2017 nach den §§ 16 ff der Energiesparverordnung (EnEV vom 18.11.2013) liegt vor und kann bereits vor einer Objektbesichtigung abgefragt werden. Die Übersendung erfolgt per Email als PDF-Dokument.
Ob Smartphone, Desktop oder Tablet, schauen Sie sich zur besseren Übersicht die 360° Aufnahmen auf unserer Homepage an: https://www.wacker-immobilien.de/immobilie/gewerbe-in-spektakulaerer-formensprache-autohaus-halle-ausstellung-etc-mit-werkstatt-technik-lager-und-viel-freiflaeche,i50017
- Industriehalle mit Verkaufsraum
- Gesamtfläche ca. 1.045 m²
- Grundstücksfläche ca. 5.902 m²
- Ausstellungs- und Verkaufsbereich
- Metalltreppe ins DG zum Büro, Galerie
- repräsentative Holzbalken und Deckenverkleidung
- Fußbodenfliesen im Verkaufsbereich, Teppichboden in den Büroräumen
- Aufenthaltsraum, Waschraum/ Dusche sowie 3 WCs
- Werkstatt/ Werkhalle
- Umkleideraum
- Etagenersatzteillager
Technische Ausstattung:
- Fußbodenheizung
- Gasheizung
- Dunkelstrahler in der Werkstatt, Direktannahme, Wäsche
- Elektrisches Oberlicht + Beschattungsanlage in der Ausstellung
- 2 Etagenersatzteillager
- Nachtanlieferung
- Druckluftanlage
- Frischölanlage
- Absauganlage
- 4 hydraulische Hebebühnen
- 1 Scherenhebebühne
- Ölabscheider
- Schlammfang
- Koaleszenzabscheider
Das Objekt befindet sich "Im Grünen Norden von Berlin" in Oranienburg, im Gewerbepark Nord in unmittelbarer Nähe zur Bundesstraße B 96. Diese modern ausgebaute 4-spurige Schnellstraße verfügt über eine Anbindung an die A111 in die Innenstadt von Berlin, so dass Sie in ca. 30 Minuten die Hauptstadt erreichen.
Oranienburg liegt inmitten einer wiesen-, wald- und seenreichen Landschaft und bietet seinen ca. 45.000 Einwohnern zahlreiche kulturelle Anziehungspunkte. Symbolträchtig für die Stadt ist das vor kurzem restaurierte und älteste Barockschloss der Mark Brandenburg direkt an der Havel. Zur Namensgebung der Kreisstadt trug die niederländische Prinzessin Louise Henriette von Nassau-Oranien (1627-1667) entscheidend bei. Oranienburg liegt an der nördlichen Stadtgrenze der Bundeshauptstadt Berlin (ca. 35 km bis Berlin-Mitte). Zudem profitieren seine Bewohner von den sehr guten Verkehrsanbindungen nach Berlin und ins Umland (direkte Nähe zum Berliner Autobahnring A 10, Anschluss an den Nah- und Fernverkehr u.a. nördliche Endstation der Berliner S-Bahn). Brandenburgs größte Kreisstadt verfügt über eine gute Infrastruktur mit zahlreichen Einkaufsmöglichkeiten, Ärzten, Schulen und Kindertagesstätten. Im vergangenen Jahr feierte die lebendige Kreisstadt Oranienburg ihr 800-jähriges Bestehen.
Baujahr: 1996
Energiekennwert Wärme: 132,72 kWh/(m²*a)
Energiekennwert Strom: 31,96 kWh/(m²*a)
Energie mit Warmwasser: Ja
Befeuerung/Energieträger: Erdgas leicht
Energieausweistyp: Verbrauchsausweis
Heizungsart: Fußbodenheizung
Hinweise:
Das betreffende Objekt wird von uns in Kooperation mit der Fa. Accent Immobiliendienstleistungen in Teltow auf der Basis eines qualifizierten Exklusivauftrages angeboten! Sollten Sie selbiges Objekt anderweitig angeboten bekommen, so sind diese Angebote nicht oder nicht mehr autorisiert, alternativ so genannte "Trittbrettfahrer" oder "Küchentischmakler". Gemeinschaftsgeschäfte mit Kollegen werden von uns deutlich als solche kenntlich gemacht.
*Als Mieter/ Pächter/ Käufer zahlen Sie bei Immobilienangeboten mit einer "provisionsfrei"-, "käuferprovisionsfrei-", oder "fehlenden" Kennzeichnung an uns keine Maklerprovision, ausgenommen sind ggf. Provisions- und/ oder Honorarzahlungen des Vermieters/ Verpächters/ Verkäufers!
BESICHTIGUNG: Eine diskrete, straßenseitige Außenbesichtigung kann von Ihnen vorgenommen werden. Eine Grundstücks-/ Hausbegehung stimmen Sie bitte mit unserem Büro ab, auch, da das Gelände alarmgesichert ist. Treffpunkt hierfür ist die straßenseitige Grundstücksgrenze.
Bitte beachten Sie unsere WIDERRUFSBELEHRUNG ZUM WIDERRUFSRECHT (Impressum/ AGBs).
ACHTUNG: Darstellungen bei IMMONET weisen im Hauptpunkt 'ENERGIE' den Unterpunkt 'Baujahr (laut Energieausweis)' aus, welcher jedoch das letzte Modernisierungs-/ Sanierungsjahr darstellt. Das Baujahr der Immobilie wird unter dem Hauptpunkt 'GRÖßE & ZUSTAND' abgebildet.